Auf dem Register Leistungsmeldung werden vom Auftragnehmer hochgeladene Aufmaßdateien als D11, GAEB X31 oder Excel-Dateien als *.xlsx angezeigt.
Reicht der Auftragnehmer ein Dokument über das Bieterportal iTWO Tender (Bieterplattform unter www.meinauftrag.rib.de) ein, so erhalten Sie als Vergabestelle hierzu ein E-Mail.
Jede vom Auftragnehmer hochgeladene Leistungsmeldung kann auf Seiten der Vergabestelle 3 verschiedene Zustände haben:
• ungeprüft (Standardwert)
• freigegeben
• abgelehnt – Bieter kann das Dokument löschen

In der Regel werden Leistungsmeldungen Aufmaßdateien als DA11 oder GAEB X31 über ein AVA-System in der Fachabteilung oder bei einem externen Büro eingelesen und geprüft. Ist die Leistungsmeldung eine Excel-Datei, so kann diese mit jedem Programm das Excel Dateien öffnen kann, angezeigt und geprüft werden.
Hierzu können Sie das Dokument über das Kontext-Menü (rechte Maustaste) herunterladen und mit der passenden Software öffnen und prüfen.
Erfolgt die Prüfung extern oder durch die Fachabteilung, so können Dokumente auch einfach weitergeleitet werden. Ist der Empfänger Nutzer der Vergabeplattform, so können Sie das Dokument als Aufgabe weiterleiten. Ist der Empfänger extern, arbeitet also nicht auf der Vergabeplattform, so können Sie das zu prüfende Dokument auch per E-Mail weiterleiten. Beide Funktionen stehen über das Kontextmenü zur Verfügung.

Das folgende Bild zeigt das Beispiel einer Weiterleitung per E-Mail an eine extern zuständige Person.

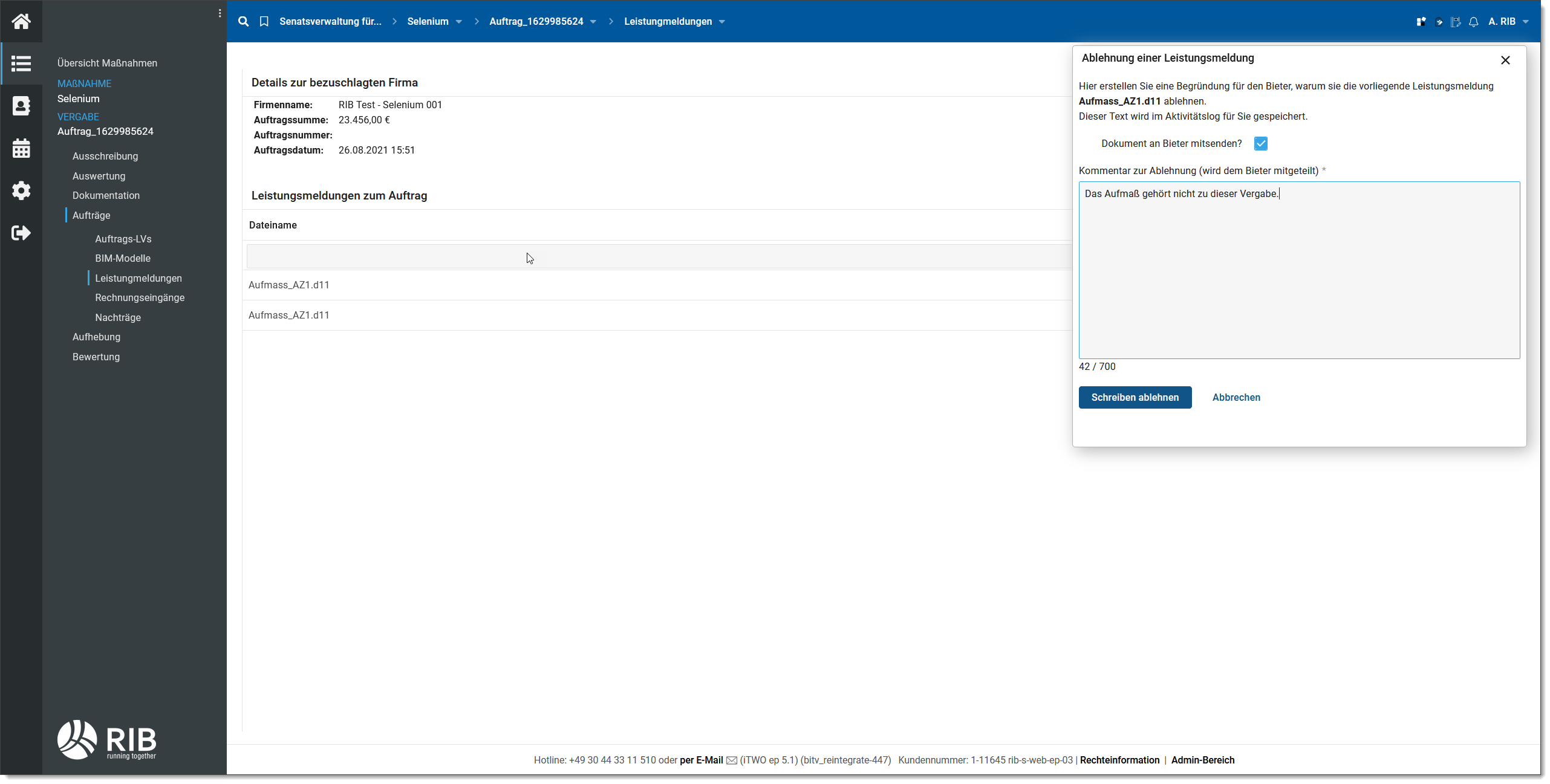
Haben Sie das Dokument geprüft und möchten es ablehnen, setzen Sie den Status auf über die Auswahl auf abgelehnt.

Wird eine Leistungsmeldung auf den Status abgelehnt gesetzt, so öffnet sich ein Fenster, in dem die Vergabestelle dem Auftragnehmer den Grund für die Ablehnung der Leistungsmeldung mitteilt.

Die Nachricht wird dann als E-Mail und als iTWO Tender (Bieterplattform unter www.meinauftrag.rib.de) Nachricht an den Auftragnehmer übermittelt. Dieser kann das Dokument dann korrigieren und neu hochladen.
Wurde das Dokument durch die Vergabestelle oder die Fachabteilung oder ein externes Büro geprüft und zum Beispiel erfolgreich in ein AVA-System zur Weiterverarbeitung eingelesen, so kann der Status des Dokumentes auf freigegeben gesetzt werden.

Die Freigabe selbst hat auf der Plattform keine weitere prozessorale Auswirkung. Der Status Freigabe sollen aber sicherstellen, dass beim Eingang von vielen Dokumenten recht schnell erkannt werden kann, welche Dokumente schon geprüft beziehungsweise bearbeitet sind und bei welchen Dokumenten dies noch erfolgen muss.

Über den Filter Formularstatus in der Kopfzeile der Tabelle lassen sich auch bei vielen eingehenden Dokumenten zu einer Vergabe sehr schnell feststellen, welche hiervon noch unbearbeitet sind und zum Beispiel geprüft oder weitergeleitet werden müssen. Alles bisherigen Aktionen können jederzeit über das Aktivitäts-Log eingesehen werden.

Über das Aktivitäts-Log lassen sich alle bisherigen Aktionen auf diesem Register nachverfolgen.

Zu dokumentationszwecken kann das Log auch als Excel Datei ausgegeben werden.
Sind alle Leistungen gemeldet oder abgerechnet, kann die Vergabestelle zu jedem Zeitpunkt definieren, dass der AN über iTWO Tender (Bieterplattform unter www.meinauftrag.rib.de) keine Dokumente mehr hochladen kann. Hierzu kann die Vergabestelle im Aktionen-Menü den Status "Upload für AN verhindern" aufrufen. Der Auftragnehmer kann damit für diesen Bereich keine weiteren Dokumente einreichen.
Für das Register Leistungsmeldungen können folgende Berechtigungen gesetzt werden.
